Manuscripts
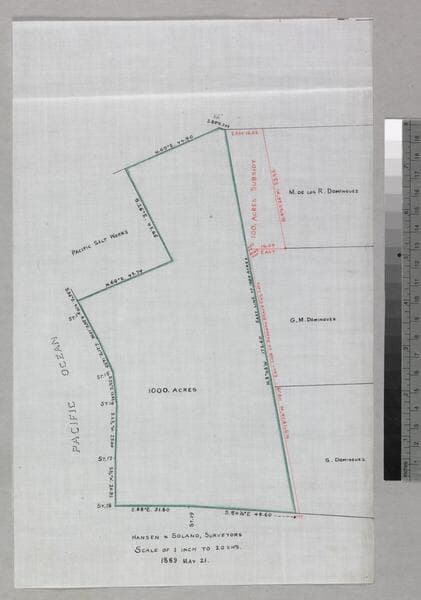
Rancho San Pedro : S66 - 1000 acre parcel
You might also be interested in
Image not available
Rancho San Pedro: S66 - Map showing the Calculation of 1000 acres
Manuscripts
Bound within document, "Rancho San Pedro, 1000 acres subsidy..." Colored ink; courses, distances, acreage, stations; showing parcel owners, Pacific Salt Works T.3-4 S.R.14 W.. Title supplied by cataloger.
mssSolano SR_Box_24(06).03

Rancho San Pedro : S66 - partition of 1000 acre parcel
Manuscripts
Bordered by Pacific Ocean Bound within document, "Rancho San Pedro, 1000 acres subsidy..." Showing parcel owners, courses, distances, acreage, stations. Title supplied by cataloger.
mssSolano SR_Box_24(06).02

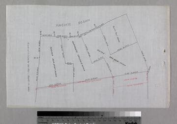
Rancho San Pedro : S66 - Ocean tracts and Dune tracts
Manuscripts
Bound within document, "Rancho San Pedro, Ocean Tracts & Dune Tracts of Guadalupe Susana and Reyes Dominguez..." p. 9; color highlighting; showing courses, distances, parcel owners, stations, Pacific Salt Works. Title supplied by cataloger.
mssSolano SR_Box_24(06).11

Rancho San Pedro : S66 - Domínguez partition parcels
Manuscripts
Bound within document, "Rancho San Pedro, 1000 acres subsidy..." Color highlighting; showing townships,section numbers, acreage, distances, parcel owners. Title supplied by cataloger.
mssSolano SR_Box_24(06).01

Rancho San Pedro : S66 - Dune Tracts
Manuscripts
Within bound document, "Rancho San Pedro, Dune Tracts of Reyes, Guadalupe & Susana..." p17; showing courses, distances, acreage, parcel owners; red outlining. Title supplied by cataloger.
mssSolano SR_Box_24(06).19

1000 acres calculated by P. Rieckert found not correct
Manuscripts
Bound within document, "Rancho San Pedro, Ocean Tracts & Dune Tracts of Guadalupe Susana and Reyes Dominguez..." p. 12; color highlighting; showing courses, distances, parcel owners, acreage, stations, Pacific Salt Works. Alt. title supplied by cataloger.
mssSolano SR_Box_24(06).12