Manuscripts
Rancho San Pedro : S66 - Ocean tracts and Dune tracts
You might also be interested in

Rancho San Pedro : S66 - Dune Tracts
Manuscripts
Within bound document, "Rancho San Pedro, Dune Tracts of Reyes, Guadalupe & Susana..." p17; showing courses, distances, acreage, parcel owners; red outlining. Title supplied by cataloger.
mssSolano SR_Box_24(06).19

1000 acres calculated by P. Rieckert found not correct
Manuscripts
Bound within document, "Rancho San Pedro, Ocean Tracts & Dune Tracts of Guadalupe Susana and Reyes Dominguez..." p. 12; color highlighting; showing courses, distances, parcel owners, acreage, stations, Pacific Salt Works. Alt. title supplied by cataloger.
mssSolano SR_Box_24(06).12
Image not available
Rancho San Pedro: S66 - sketch maps
Manuscripts
Within bound document, "Rancho San Pedro, Dune Tracts of Reyes, Guadalupe & Susana..." pp. 6-10. Title supplied by cataloger.
mssSolano SR_Box_24(06)
Image not available
Rancho San Pedro: S66 - sketch maps
Manuscripts
Within bound document, "Rancho San Pedro, Dune Tracts of Reyes, Guadalupe & Susana..." pp. 6-10. Title supplied by cataloger.
mssSolano SR_Box_24(06)

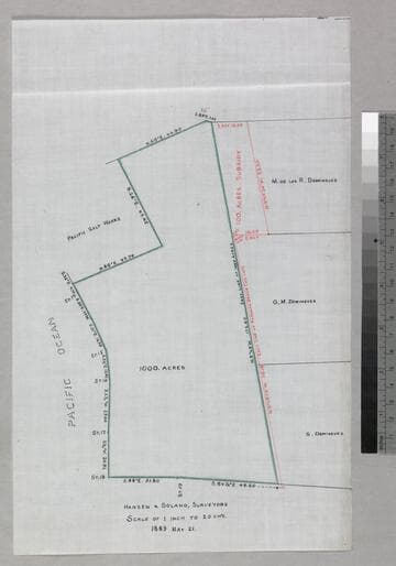
Rancho San Pedro : S66 - 1000 acre parcel
Manuscripts
Showing Pacific Salt Works, courses, distances, parcel owners, stations; red ink, green highlighting. Title supplied by cataloger.
mssSolano SR_Box_24(06).09

Rancho San Pedro : S73 (partition of 1884-1885, report of referees) - Dune Tracts of Guadalupe & Susana
Manuscripts
Part of stapled document, "Allotment to Susana Dominguez..." Tract No. 2 featuring Guadalupe & Susana parcels, color outlining, courses, distances; sand hills & goat land. Title supplied by cataloger.
mssSolano SR_Box_24(07).31