Manuscripts
Raab, David : Raab & Lightfoot homesteads
You might also be interested in

Raab, David : Raab to Lightfoot parcel
Manuscripts
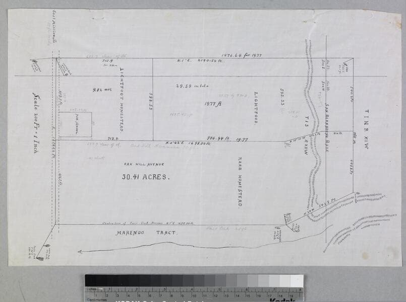
P. 5 of pinned document, "David Raab shows a map made by Mr. W. Thompson..." showing courses, distances. Title supplied by cataloger.
mssSolano SR_Box_31(17)

Raab, David : parcel map
Manuscripts
Verso of p. 1 of pinned document, "David Raab shows a map made by Mr. W. Thompson..." showing courses, distances. Title supplied by cataloger.
mssSolano SR_Box_31(17)

County Roads to San Gabriel : road right-of-way south of Downey Avenue
Manuscripts
P. 3 of pinned document, "Road to San Gabriel..." showing courses, distances, acres, landmarks, stations; Capt. Prichard's parcel. Title supplied by cataloger.
mssSolano SR_Box_31(33).02

Arroyo Seco
Manuscripts
Courses, distances, acreage; hachures & other surface details; table land. Alt title supplied by cataloger.
mssSolano SR_Box_31(41).02

East Los Angeles - tracts of land
Manuscripts
6th page of pinned document, "East Los Angeles, City Land..." with color & detailed hachures; showing River Los Angeles, Arroyo Seco; parcels of J.G. Downey, Julian Chavis, John S. Griffin with courses, distances, landmarks. Title supplied by cataloger.
mssSolano SR_Box_28(01).01

Johnston, Hancock M. - E. Hall & Isaac Jacoby parcels
Manuscripts
P. 2 of pinned document, "H.M. Johnston, survey made June 6, 1881 by Geo. Hansen..." showing parcels along Griffin avenue at Patrick St.; north of Block 20, showing courses, distances, acreage; covered with calculations. Title supplied by cataloger.
mssSolano SR_Box_29(07).01